16岁的小强是个开朗的孩子,却被石膏固定了一条腿躺在床上动弹不得。小强妈妈说他已经不是第一次骨折了。在短短几年内他已经骨折8次,左腿、右上臂、右腿,轮番的来,是名副其实的“玻璃骨”,只能坐轮椅生活。一开始小强妈妈以为是孩子顽皮,但是在孩子多次骨折后,她意识到没那么简单,于是带着孩子四处求医。
直到在某医院内分泌专家那里找到了小强频繁骨折的答案。医生一眼看到小强的巩膜是蓝灰色,随即安排小强做了检查。发现小强的骨密度Z值只有-3,已经达到了严重骨质疏松的标准,难怪一碰就断。而且,拍了片子发现,小强的脊椎骨其实也已经发生了压缩。最后,通过基因检测,小强确诊为成骨不全1型。
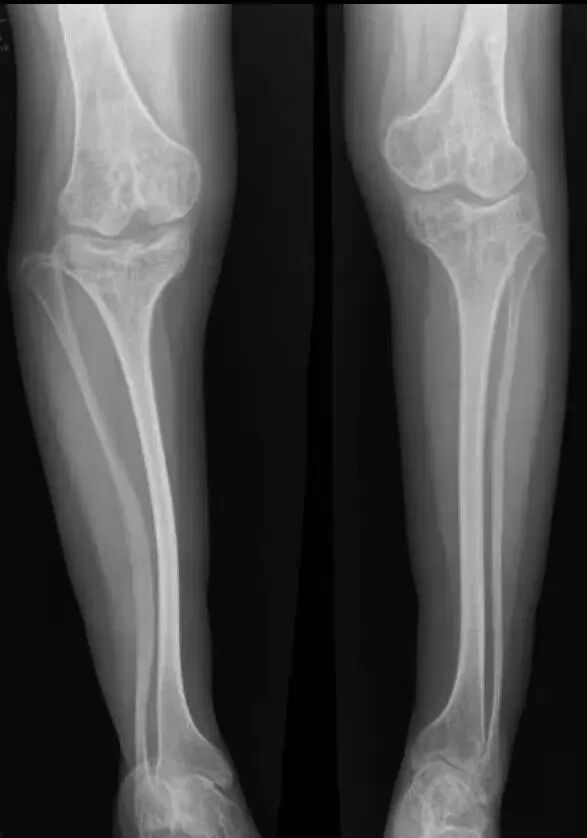
入院检查:患者男性,16岁,因“外伤致右大腿肿痛伴活动受限2天”;体查:平时坐轮椅生活,身高: 132cm,体重: 43kg,蓝巩膜,双下肢弯曲畸形,X形腿右下肢石膏固定,右大腿稍肿胀,压痛,可及骨擦感。辅查:本院X线及CT(见图一):右股骨干下段骨折,骨质疏松,双下肢弯曲畸形,胸片及ECG无明显异常;其他:既往史无特殊,父母及1兄弟均无遗传病史。

图一:入院X线及CT
血化验指标:Ca2+2.28mmol/l(2.08-2.60 mmol/l),磷 0.74 mmol/l(0.8-1.65 mmol/l),ALP:2132U/L(正常<390 U/L),PTH:70.09pg/ml(正常15.00-65.00pg/ml),降钙素2.92ng/l (正常<8ng/l),总三碘甲状腺原氨酸(TT3),游离T3(FT3),甲状腺素(TT4),游离甲状腺素(FT4),高敏促甲状腺素(TSH)均未见异常;骨代谢指标:骨钙素:167.5ug/l(正常:6-24.7 ug/l),β胶原讲解产物5036ng/l(正常:43-783 ng/l),总I型胶原氨基端前肽>1200 ug/l(正常:9.1-76.2 ug/l),25羟基维生素D 9.7 ug/l(正常:20-50 ug/l)。
入院诊断:1.右侧股骨干下段骨折伴双下肢畸形2.成骨不全症 3.继发性骨质疏松
治疗方案:1.右侧股骨干骨折伴畸形多段截骨矫形髓内钉固定术2.左侧股骨干畸形多段截骨矫形髓内钉固定术。
概述
成骨不全症(英文:Osteogenesis imperfecta,OI),又称脆骨症,是一种先天性遗传疾病,出现在男女的比例上大约相同,这种疾病会造成第一型胶原纤维缺陷,使骨骼忍受外力冲击的能力较正常人差,即使是轻微的碰撞,也会造成严重的骨折,因此这类的病患被称为“玻璃娃娃”或“玻璃骨”。
病因
OI的发病机制是多种致病基因突变导致Ⅰ型胶原代谢异常,其中Ⅰ型胶原的α1链和α2链编码基因COL1A1或COL1A2突变是导致OI的最主要原因,呈常染色体显性遗传。新生儿OI患病率约为1/20000~1/15000。
临床表现与分型
成骨不全症常见的临床表现为骨质脆弱反复骨折、蓝巩膜、耳聋、关节松弛等,
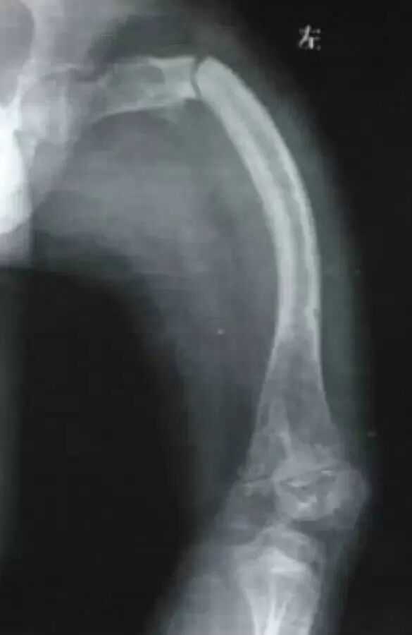
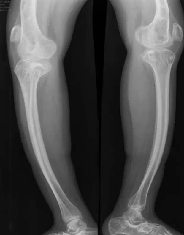
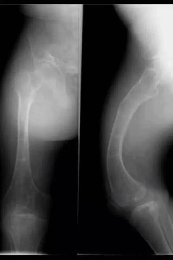
OI标志性特征是骨质脆弱反复骨折, 典型骨骼X线表现(见图二);成骨不全症的临床表现不仅限于骨骼,还常常累及其他结缔组织如眼、耳、皮肤、牙齿等(见图三)。根据临床表型, 澳洲悉尼大学的Sillence教授将OI 分成至Ⅰ-Ⅳ型[7]: Ⅰ型病情最轻, 最常见; Ⅱ最重, 通常围产期致死; Ⅲ型是存活者中最严重的, 常常身材矮小, 呈进行性骨骼畸形; Ⅳ型严重度介于Ⅰ型与Ⅲ型之间。近期发现的Ⅴ型OI 具有肥厚性骨痂、桡骨头脱位、前臂骨间膜钙化、桡骨干骺端下密集骺线等独特临床表现(见图四)。

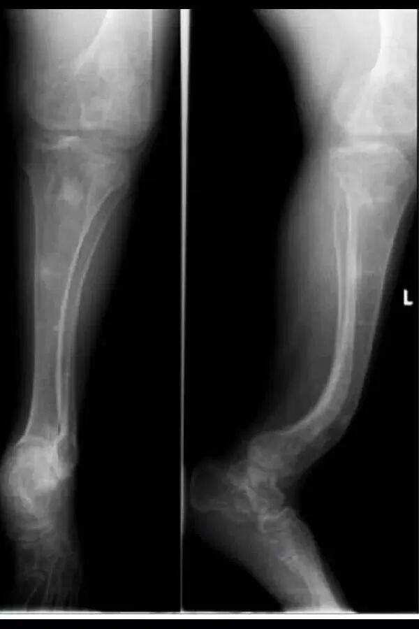
图二:成骨不全症典型的X线表现
a.股骨干侧位片显示双侧非对称的股骨前弓弯曲愈合中的骨折(实心箭头)和已经愈合的骨折(空心箭头)
b. 胫骨侧位片显示双侧胫骨向前弯曲以及骨折愈合的不同阶段:早期愈合(实心箭头),进行性愈合中(空心箭头),已经愈合(三角);双侧胫骨呈现铅笔样畸形,尤其是腓骨及蜂巢状髓腔,特别是胫骨远端。
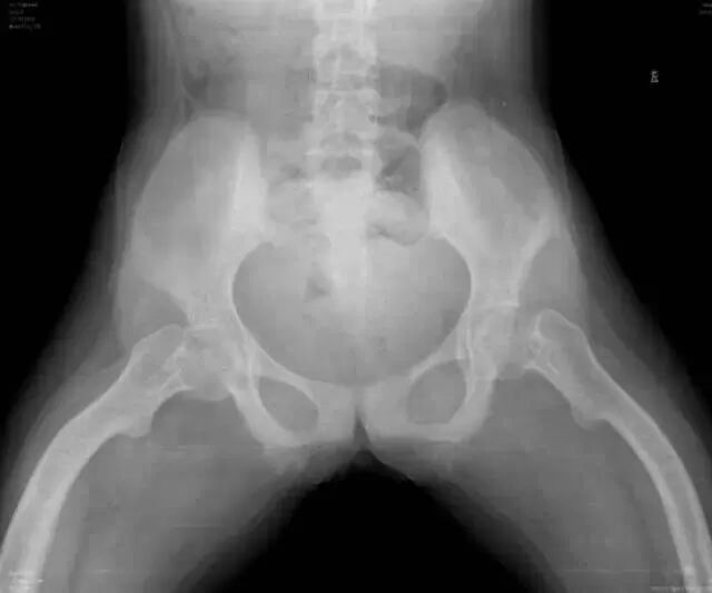
c. 骨盆平片显示严重的股骨近端髋内翻畸形以及基本完全愈合的转子下骨折;骨折愈合一般从内侧(压应力侧)开始,而骨折不愈合通常发生外侧表面(张应力侧);
d. 胸腰段脊柱侧位片显示椎体及附件广泛骨质疏松,椎体呈双凹征(空心箭头),扁平椎(实心箭头)以及各种程度的椎体前方楔形变,总的来说成骨不全患者脊柱骨骼改变与生长激素替代治疗的骨骼改变表现非常类似,骨硬化与骨吸收相互交错;
e. 肱骨的前后位片可以看到多条横形的硬化带,代表的是双磷酸盐治疗周期;同时还可以看到向外拉长、变薄变细的锁骨和肋骨以及增宽的肋间隙;
g.皮肤松弛症的X线片表现有时与成骨不全的比较类似,股骨干前后位片显示已经愈合的股骨干骨折;
h.上肢的前后位片显示双侧的尺骨向外侧弯曲成角,肱骨远端向内侧成角(实心箭头),同时伴有桡骨小头脱位(空心箭头)。

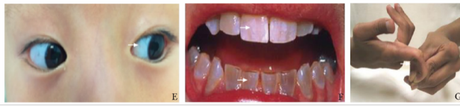
图三:成骨不全骨骼外临床表现
a.蓝巩膜b.牙本质发育不全 c.指间关节韧带松弛

图四:V型成骨不全骨骼特殊非典型性改变
a.肥厚性骨痂; b.脊柱畸形; c.骨间膜钙化
X线表现
OI的临床诊断主要依据疾病的临床表现和影像学特点,X线表现主要为骨质的缺乏及普遍性骨质稀疏。
1、在长骨表现为细长,骨小梁稀少,呈半透光状,皮质菲薄如铅笔画。髓腔相对变大,严重时可有囊性变。骨两端膨大呈杵状,可见有多处陈旧性或新鲜骨折。有的已经畸形连接,骨干弯曲。有一些畸形是因肌肉附着处牵拉所致,如髋内翻、股骨及胫骨呈弓形。某些病人在骨折后会形成丰富的球状骨痂,其数量之多,范围之广,使人会误诊其为骨肉瘤。另有一些病人的骨皮质较厚,称“厚骨型”。少见。
2、颅骨钙化延迟,骨板变薄,双颞骨隆起,前囱宽大,岩骨相对致密,颅底扁平。乳齿钙化不佳,恒齿发育尚可。
3、椎体变薄,呈双凹形,骨小梁稀少,椎间盘呈双凸形代偿性膨大。可以有脊柱侧弯或后突畸形。
4、肋骨从肋角处向下弯曲,常可见多处骨折。骨盆呈三角形,盆腔变小。
治疗









成骨不全的治疗需要多学科协作,目前没有根治的治疗方法。
1、生活方式干预:成骨不全患儿的骨质稍加外力即可造成骨折,因此,最重要的一条原则是避免摔倒。成骨不全患儿由于反复骨折,导致活动受限,可能引起肌肉失用性萎缩,所以建议患儿要加强重要肌肉的功能训练。饮食方面要以高钙、高蛋白及高热量为主。适量的阳光照射帮助维生素D合成,促使骨骼健康。
2、药物治疗:双膦酸盐是治疗成骨不全最主要的药物,已经被证明可以减少骨痛,改善肌力,提高骨密度,降低骨折风险,但不是所有成骨不全患者都需要这项治疗,要经过专科医生的严格评估,要一年内长骨骨折两次或者有腰椎骨折的才考虑用药。
参考资料:
1、Darko Antičević1, Željko Jeleč2 Osteogenesis imperfecta: surgical treatment options with emphasis on today’s orthopedic approach. Paediatria Croatica, Vol. 61 No. 3, 2017.[1]
2、Renaud A, Aucourt J, Weill J, Bigot J, Dieux A, Devisme L, Moraux A, Boutry N. Radiographic features of osteogenesis imperfecta.Insights Imaging. 2013 Aug;4(4):417-29. Epub 2013 May 19.
3、Forlino A, Cabral WA, Barnes AM, et al. New perspectives on osteogenesis imperfecta [ J]. Nat Rev Endocrinol, 2011, 7: 540-557
4、Cundy T. Recent advances in osteogenesis imperfect [J]. Calcif Tissue Int, 2012, 90: 439-449
5、 Forlino A, Marini JC. Osteogenesis imperfecta [ J].Lancet, 2016, 387: 1657-1671
6、Saraff V, Högler W. Endocrinology and adolescence:Osteoporosis in children: diagnosis and management[J]. Eur J Endocrinol, 2015, 173: 185-197.
7、Sillence DO, Rimoin DL. Classification of osteogenesis imperfect [J]. Lancet, 1978, 1: 1041-1042
8、中华医学会骨质疏松和骨矿盐疾病分会.成骨不全症临床诊疗指南,中华骨质疏松和骨矿盐疾病杂志 2019 年1 月第12 卷第1 期